Commercial Projects > Mold-In Graphics
![]() |
![]() |
![]() |
Mold-In Graphics, Clarkdale, Arizona
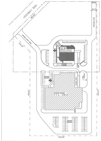
This multi-phased project consists of an 80,000 square foot corporate office, research and development facility in Clarkdale. The building was constructed with pre-engineered steel frames, metal roofs and fascias, and a combination of metal and masonry exterior walls. Site development work included parking and shipping areas, sewerage and water distribution systems.

| Phone: (928) 443-5812 | waka@cableone.net |
| © 2010 W. Alan Kenson & Associates, P.C. | |
| Site by Prescott Computer Guy | |



